2020: Un año de fenómenos extremos sin precedentes

Si la pandemia mundial no hubiera irrumpido en nuestras vidas, 2020 habría sido el año de confirmación de la crisis climática global. Nunca habíamos tenido tantas tormentas tropicales nombradas en el Atlántico, ni temperaturas tan altas en Siberia o, este verano, en muchas ciudades españolas, que acabaron batiendo sus registros máximos históricos. Estos son solo unos ejemplos de los muchos fenómenos de impacto que ha deparado el año, y que los expertos de Meteored, Francisco Martín, José Miguel Viñas y José Antonio Maldonado, analizan a continuación.
     

Francisco Martín | Meteorólogo de Meteored y Coordinador de la RAM “Un año de ciclones destructivos”
El año 2020 enseñó pronto su talante extraordinario a nivel meteorológico, al menos en España. A finales de enero, la borrasca Gloria se alió con un potente anticiclón ubicado sobre las Islas Británicas para generar “un temporal destructivo e histórico en el Mediterráneo”, recuerda Francisco Martín, meteorólogo de Meteored y Coordinador de la RAM. Aunque si tenemos que hablar de ciclones, en este caso tropicales, no podemos obviar la temporada de huracanes en el Atlántico. Según Martín, “ha sido muy hiperactiva y probablemente será una de las 10 más catastróficas y dañinas de los últimos años”. A continuación, el experto repasa la condición anómala de estos fenómenos.

Una temporada de huracanes sin precedentes

F. Martín .- El pasado 30 de noviembre finalizó oficialmente la temporada de huracanes en el Atlántico, un período de auténtico récord, que ha cumplido con creces la previsión de una temporada más activa de lo normal. Algunos, de hecho, la han calificado como ‘hiperactiva’. Hasta ahora, se han formado 30 tormentas tropicales con nombre, incluidos 13 huracanes y 6 huracanes mayores, cuando la media es de 12 tormentas tropicales con nombre, seis huracanes y tres huracanes importantes. Con estos números, la temporada 2020 ha superado a la mítica de 2005 que poseía el récord anterior con 28 tormentas tropicales.  

Dado el gran número de tormentas nombradas, se ha tenido que recurrir por segunda vez en la historia (tras 2005) a las letras del alfabeto griego para complementar la lista oficial de 21 nombres, que terminó con Wilfred el 18 de septiembre, pero no cesando la actividad hasta llegar a la letra Iota, a mediados de noviembre de 2020. Algunas de las circunstancias más importantes de la estación han sido:

⦁    La precocidad temporal en la formación de las tormentas tropicales.
⦁    La actividad tan importante en los meses de octubre y noviembre (este mes con dos huracanes mayores).
⦁    El grado de intensificación rápida de algunos de ellos, de un total de 10.
⦁    Las 12 tormentas que tocaron tierra en los Estados Unidos continentales.
⦁    Dos huracanes catastróficos tocaron tierra en Centroamérica en noviembre separados por 15 días y pasando por lugares similares.
⦁    La tormenta subtropical Alpha se formó frente a las costas de Lisboa (18 sept.) muy al este del Atlántico.


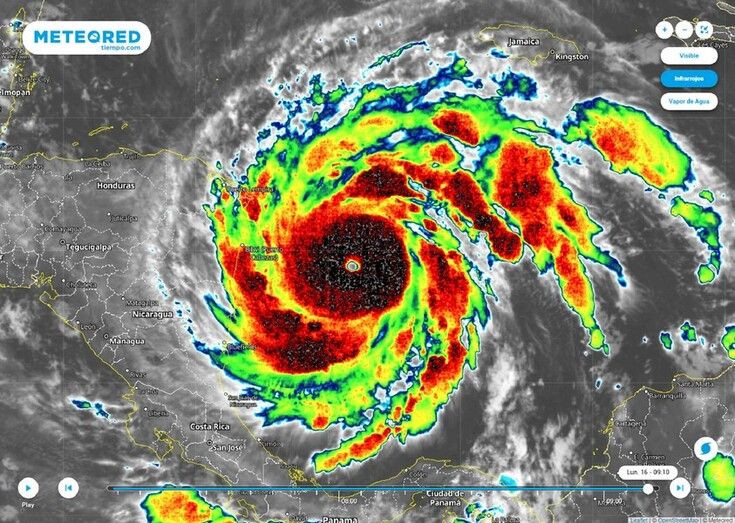
Huracán Iota desde el satélite infrarrojo el día 16 de octubre, horas antes de convertirse en un poderoso huracán de categoría 5.

Hay que hacer notar que 2020 marcó el quinto año consecutivo con una temporada de huracanes en el Atlántico superior a lo normal, y esta tendencia está también soportada por aguas oceánicas cada vez más cálidas en un mundo que se calienta. La presencia de La Niña ha favorecido e impulsado a la superactiva estación 2020, generando entornos favorables.

La histórica borrasca Gloria

F. Martín .- Gloria fue la séptima borrasca nombrada de la temporada 2019-2020 a iniciativa de la AEMET en las primeras horas del viernes 17 de enero de 2020, debido a la emisión de avisos de nivel rojo y naranja por rachas de viento, lluvia, nieve y fenómenos costeros. Gran parte de ellos entraron en vigor a partir de la madrugada del domingo 19 de enero en el norte y este peninsular, así como en Baleares. Las zonas levantinas y de Baleares fueron muy castigadas.

Gloria tuvo una breve duración como tal,  pero generó un temporal de viento, lluvia, nieve y mar generado por la propia borrasca y un potente anticiclón situado sobre las Islas Británicas del orden de 1040 -1050 hPa. Ambos sistemas crearon un intenso gradiente de presión y un temporal histórico.

La borrasca tuvo un carácter excepcional, tanto por los registros meteorológicos como por los impactos en daños y muertes entre el 18 y 25 de enero de 2020. Algunos datos:

⦁    13 muertos y tres desaparecidos.
⦁    Innumerables avisos rojos y naranjas por viento, costeros, precipitaciones, etc.
⦁    Se alcanzaron rachas huracanadas en diversos lugares peninsulares.
⦁    Daños materiales millonarios por inundaciones, rachas intensas y oleaje. Zonas de playas fueron arrasadas por el temporal en el levante español.
⦁    Cortes de carreteras, ferrocarriles y transporte marítimo.
⦁    Récords de oleaje y altura de las olas en zonas del Mediterráneo: 14,77 m en la boya de Mahón, Baleares.
⦁    Las precipitaciones fueron intensas y persistentes en zonas del levante y Baleares durante todo el episodio, llegando a acumularse más de 400 litros por metro cuadrado.

 
Pueblo turolense de Puertomingalvo poco después de la excepcional nevada que dejó la borrasca Gloria.

     
José Miguel Viñas | Meteorólogo de Meteored “Algo gordo está pasando cuando en Siberia se habla de calor e incendios”
La COVID-19 ha alterado nuestra rutina de forma drástica influyendo en ámbitos inimaginables. Uno de ellos, sobre todo en el primer y más drástico confinamiento, fue el medioambiental. Entre los meses de marzo y mayo la actividad se redujo al mínimo y así se evidenció la imprenta que dejamos en nuestro entorno. “El parón obligado por la pandemia nos ha enseñado de forma clara lo mucho que influimos en la calidad del aire”, señala José Miguel Viñas, meteorólogo de Meteored. “Nuestro objetivo debe ser mejorar la calidad del aire en nuestras ciudades como vimos que pasó en primavera, pero sin pandemia”, añade el experto.

Nuestra salud depende de ello, y también la del planeta que parece estar, igualmente, en un proceso febril. “2020 ha supuesto un antes y un después en la evolución del clima en Siberia, ni las peores proyecciones climáticas planteaban un repunte de temperaturas como el observado”, destaca Viñas. Este año ha sido especialmente anómalo allí, “algo gordo está pasando cuando en Siberia se habla de calor e incendios”.

José Miguel Viñas analiza a continuación estos dos hechos extraordinarios.

Aire limpio durante el confinamiento
J. M. Viñas .- Uno de los hechos más notables de este 2020 (“el año de la pandemia”) fue la reducción de la contaminación atmosférica experimentada en las grandes ciudades del mundo, debido al confinamiento de la población y a la drástica disminución del tráfico en las calles. Dicha circunstancia fue observada –gracias a los datos de satélite y de las estaciones de medición terrestres– progresivamente en China, Italia y España, que fueron los primeros países en los que impactó de lleno y con rapidez la primera ola, y donde empezaron las cuarentenas.
 

Los niveles de dióxido de nitrógeno (NO2) –particular barómetro de la calidad del aire urbano– cayeron de media alrededor de un 60% con respecto a los valores habituales durante los meses de marzo y abril, lo que marca un hito sin precedentes desde que empezó a medirse la concentración de NO2, a principios de los años 90.

La mejora en la calidad del aire fue una consecuencia directa de la reducción, de entre un 70 y 80 %, del tráfico rodado, lo que también supuso una inyección significativamente menor a la atmósfera de material particulado (PM) procedente de las rodaduras de los vehículos. En pocos días, la limpieza del aire de nuestras ciudades fue una evidencia empírica.

Y en verano, ardió Siberia
J. M. Viñas .- El comportamiento meteorológico en Siberia a lo largo del presente año ha sido excepcional, produciéndose unas anomalías cálidas no solo de extraordinaria magnitud, sino duraderas en el tiempo. Según indica la Organización Meteorológica Mundial (OMM) en su Informe provisional del Estado del Clima 2020, en el Ártico siberiano se superaron las temperaturas medias en más de 5 ºC. Fue particularmente destacado el episodio de calor del mes de junio, en el que se alcanzaron 38 ºC de temperatura máxima en la localidad de Verkhoyansk –el día 20–, siendo provisionalmente (a falta de la certificación oficial del registro por parte de la OMM) la temperatura más alta jamás registrada al norte del Círculo Polar Ártico.

Esas anomalías térmicas positivas cuasi permanentes, dominando en vastas extensiones del territorio siberiano, han contribuido a la formación y propagación de incendios forestales en la región, ardiendo también numerosas turberas (secas y muy inflamables), lo que ha provocado un aumento significativo de las emisiones de CO2 a la atmósfera. La fusión del permafrost se ha visto también potenciada este año por la subida experimentada en las temperaturas.
     

José Antonio Maldonado | Director de Meteorología “En España, trece borrascas de gran impacto y una ola de calor descomunal”
En el ámbito meteorológico, 2020 será recordado en España por Gloria y el resto de borrascas de impacto, algunas de ellas con matices subtropicales que es algo cada vez más recurrente. El aire cálido, y en ocasiones húmedo, de la zona subtropical parece estar aumentando su protagonismo con el paso de los años en nuestro país. Tanto es así, que el 18 de septiembre el Centro Nacional de Huracanes estadounidense, que sigue y nombra a los ciclones tropicales, llamó Alpha a un sistema de bajas presiones en las inmediaciones de Lisboa. Llegó a ser una tormenta subtropical, algo anómalo en nuestro entorno. Las advecciones del sur influyen en nuestras borrascas pero también en nuestros veranos, que albergan olas de calor cada vez más extremas, como la acaecida a finales de julio. José Antonio Maldonado, director de meteorología en Meteored, analiza estas efemérides.

Trece borrascas con gran impacto en España
J. A. Maldonado .- Las “borrascas de gran impacto” son aquellas que dan lugar a fenómenos especialmente adversos (lluvias intensas, numerosas nevadas, vientos muy fuertes…). Se les asignan nombres para llamar la atención y que así adquieran notoriedad, cosa que ayuda a aumentar la prevención y la responsabilidad entre la sociedad. Cada uno de los nombres figura en una relación previamente establecida.   

En España desde que comenzó el año 2020 nos hemos visto afectados por trece borrascas con gran impacto, ocho de ellas antes de octubre y las dos últimas en diciembre, prácticamente seguidas (Dora el 3 de diciembre y Ernest el día 9). Dora y Ernest han dado origen a un brusco y generalizado descenso de temperaturas, lluvias cuantiosas en gran parte de la mitad norte que han provocado desbordamientos de ríos y nevadas copiosas en los sistemas montañosos y en extensas zonas de la meseta castellano leonesa.

Desde la temporada 2017-18, el llamado Grupo Suroeste, compuesto por AEMET (España), Meteo-France (Francia), IPMA (Portugal) y RMI (Bélgica), da nombre a las “borrascas con gran impacto” que pueden afectar a los países que representan. El primero de los cuatro servicios meteorológicos que observa que puede verse afectado por una de esas borrascas le asigna el nombre que le corresponde en la relación establecida.

Tanto a Dora como a Ernest fue AEMET quien las denominó. La próxima tendrá por nombre Filomena y ya veremos cuál de los cuatro países será el primero en entender que le va a afectar. No sabemos cuándo llegará, pero dada la inestabilidad que viene caracterizando a la atmósfera no tendría nada de extraño que estuviese al caer.

Una ola de calor batió numerosos récords a finales de julio
J. A. Maldonado .- En el presente año, y concretamente en el pasado verano, España vivió dos episodios que pueden considerarse como “olas de calor”. Uno entre el 25 de julio y el 2 de agosto, que fue extraordinario, y el otro entre el 6 y el 10 de agosto. En el primero de ellos se batieron numerosos récords. A continuación enumeramos algunos:
Temperaturas máximas absolutas:
Burgos: 38 ºC. El anterior era de 37,8 ºC (1982)
San Sebastián: 42,2 ºC. El anterior era 40,4 ºC (1995)

Temperatura media de las máximas:
Almería: 33,2 ºC. El anterior era de 32,8º C (1990)
Badajoz: 38,4 ºC. El anterior era de 37,7 ºC (2016)
Cáceres: 37,1 ºC. El anterior era de 36,4 ºC (1989)
León: 30,7 ºC. El anterior era de 30,4 ºC (19479
Orense: 34 ºC. El anterior era de 33,8 ºC (1989)
Pontevedra: 29,3 ºC. El anterior era de 29,2 ºC (1990)
Salamanca: 34 ºC. El anterior era de 33,2 ºC (2015)
Valladolid: 33,8 ºC. El anterior era de 33,2 ºC (2015)
Zamora: 34,5 ºC. El anterior era de 33,9 ºC (2015)

Temperatura media de las mínimas:
Badajoz: 19,8 ºC. El anterior era de 19,6 ºC (2016)
Córdoba: 21,7 ºC. El anterior era de 20,7 ºC (2015)
Granada: 20,9 ºC. El anterior era de 20,7 ºC (2015)
En las temperaturas, ¿cómo se puede calificar el año 2020 en España?
Lógicamente, como aún no ha finalizado y diciembre está siendo relativamente frío, aún no se puede dar una calificación definitiva, teniendo en cuenta, además, que las diferencias entre un año y otro varían por pequeñas diferencias. Hasta el final de noviembre, el año 2020 estaba entre los tres más calurosos del presente siglo. Probablemente, descenderá algo en esa calificación, pero no será gran cosa. Sin duda, el presente año merecerá el calificativo de muy caluroso.

Madrid, 15 de diciembre de 2020.
 
     José Antonio Maldonado
Director de Meteorología.         José Miguel Viñas
Meteorólogo de Meteored.         Francisco Martín
Coordinador de la RAM.
+ Expertos de Meteored
Para concertar entrevistas:
Actitud de Comunicación
91 302 28 60         
press@meteored.com
 

Sobre Meteored
Meteored se ha convertido en uno de los proyectos líderes sobre información meteorológica a nivel mundial con más de 20 años de experiencia. Actualmente nuestras predicciones, modelos y noticias se ofrecen por todo el mundo a través de distintos medios y plataformas. Es por nuestra experiencia, calidad y dedicación, que millones de personas confían en nosotros para planificar su día a día.
Meteored cuenta, además, con un equipo de redacción internacional, ubicado en varios países del mundo. Nuestros expertos en meteorología, meteorólogos y periodistas se encargan de mantenernos informados sobre los acontecimientos meteorológicos más importantes de la actualidad, así como de ilustrarnos y explicarnos las situaciones más significativas que están por llegar.